Clover Residential | Real Estate In Victoria

Sold

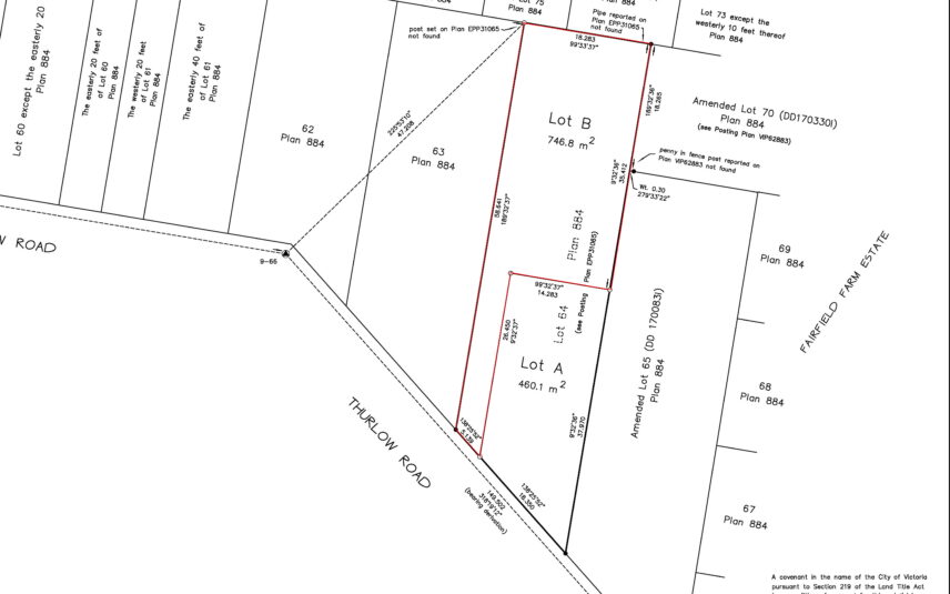
1 – 1344 Thurlow Rd (Lot B)

$699,000

  • Neighbourhood: Fairfield
  • Bedrooms: N/A
  • Bathrooms: N/A
  • MLS: 985392

Here’s your exclusive chance to secure a remarkable package: two vacant residential lots in the highly sought-after Fairfield neighborhood of Victoria. Recently subdivided 1344 Thurlow Rd, has two flat parcels offering approved building plans. #1 (Lot B) is an expansive 8038 sq ft panhandle lot, with thoughtfully designed plans encompassing a sleek 1625 sq ft ranch-style home. #2 (Lot A) is a front lot spanning 4952 sq ft with approved designs showcasing a sophisticated 2175 sq ft two-level home, complete with a suite that adds both versatility and value. Work with these plans, develop your own on one or both, or work with the City to combine both lots again for a larger project. Recent boulevard improvements as well as driveway are complete, City sewer/water have been installed to the front of the property line, and hydro pole has been installed for back lot. Located steps from Sir James Douglas Elementary School, the conveniences of Fairfield Plaza, the bustling energy of Cook Street Village, and the serene allure of Dallas Rd waterfront. Don’t miss out on this extraordinary opportunity to contribute to Fairfield community’s legacy by adding much needed housing.
*Must be purchased together with #2-1344 Thurlow, Lot A, MLS 985395. Also offered for $699,000. Prices for land only. Contact us for a complete information package

Interested in this listing?

Get in touch with one of our knowledgable agents to get more details, or to book a viewing of this listing. We’re happy to help you navigate this important process and look forward to hearing from you.

Ole Schmidt

Managing Broker, Co-Owner

Hannah Hayworth
Hannah Hayworth

REALTOR®, Sales Team

William Johnson

REALTOR®, Sales Team

Ole Schmidt, David Logan, and Cindy Hayworth walking on a tree-lined residential street in Victoria, BC

Stay Informed

Keep up with Victoria’s real estate and rental insights.

Partner with the Experts

Buy, sell, and rent with clarity, care, and proven results.

Please confirm you are a person.